Orkaan verwoest Jamaica – COP30 klimaatonderhandelaars gaan door met loze beloften

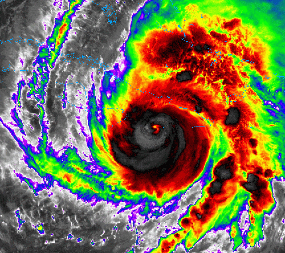
Eind oktober raasde orkaan Melissa over Jamaica, Haïti en Cuba. Water golfde door de straten en sleurde auto’s mee, en huizen liepen onder water. Meer dan 95 mensen kwamen om, ongeveer 30 zijn vermist en meer dan 140 raakten gewond. Alleen al in Jamaica kwamen meer dan 2,8 miljoen mensen zonder elektriciteit te zitten. “Er is in deze regio geen infrastructuur die tegen een zeer heftige orkaan als deze opgewassen is”, waarschuwde de Jamaicaanse premier al voordat de storm het land bereikte.
De infrastructuur in dit gedeelte van de wereld is namelijk ontworpen voor winning van grondstoffen en productie van tropische landbouwproducten voor export die anderen verrijken, maar die tegelijkertijd de eilanden daar kwetsbaar maakt. Ze is niet gebouwd om mensen te beschermen tegen verwoestende klimaatrampen. Hoe moet Jamaica die infrastructuur dan weer opbouwen na de ergste orkaan ooit in dit gebied? Hoe kan een land dat al gebukt gaat onder schulden en bezuinigingen zich herstellen, als dezelfde door het westen gedomineerde banken de wederopbouw gaan financieren, en zo de schuldenlast nog verder vergroten? Het kernprobleem van een post-koloniale klimaatramp is dit: degenen die het minst verantwoordelijk zijn voor de crisis moeten hun ruïnes weer zien op te bouwen met dezelfde hulpmiddelen waarmee ze tot nu toe zijn beroofd.

Ironisch genoeg speelde dit alles zich af, terwijl wereldleiders en milieuactivisten zich aan het voorbereiden waren op COP30, waar “klimaatrechtvaardigheid” opnieuw zogenaamd de allergrootste voorrang zou krijgen. Maar na de verwoestingen die orkaan Melissa in het Caribisch gebied heeft aangericht, heerst er stilte onder juist die organisaties die beweren voor de planeet te strijden. Greenpeace heeft bijvoorbeeld geen verklaring over de orkaan afgegeven, terwijl de organisatie wel de eerste verjaardag van de overstroming van de Spaanse stad Valencia herdacht. Dit zijn symptomen van de klimaatcrisis die langzaam aan steeds heftiger wordt. De ongelijke aandacht die beide rampen krijgen, laat zien hoe milieubewustzijn nog steeds de koloniale lijnen van belangstelling en medeleven volgt. Dit is overigens helemaal niets nieuws. Zoals Nathan Hare al in 1970 in zijn artikel “Black Ecology” betoogde, houden gewone milieuorganisaties zich vooral bezig met problemen van witte en welvarende samenlevingen, terwijl zij weinig aandacht hebben voor de giftige realiteit van bruine en zwarte gemeenschappen. Een halve eeuw later is die kritiek nog steeds actueel: klimaatbezorgdheid houdt maar al te vaak op bij de grenzen van de westerse landen. Wat we nu zien bij orkaan Melissa is precies weer datzelfde verschil in aandacht: wel rouwen om smeltende gletsjers in het westen, maar niet om verdronken zwarte gebieden.
Al tientallen jaren waarschuwen zwarte en bruine landen – waaronder die in het Caribische gebied – dat de klimaatcrisis voor hen geen abstract toekomstbeeld is, maar een levende werkelijkheid. Van de eilanden in de Stille Oceaan tot de Sahel, van de Filipijnen tot Palestina: het zuiden van de wereld heeft al zo lang de alarmklok geluid, zelfs nog voordat het in de mode raakte om te spreken van een “klimaatcrisis”. Maar zelfs nu wereldleiders elk jaar bijeenkomen onder de vlag van COP, blijven de resultaten uit. Rampzalig! Organisatoren van de volgende COP zullen vast weer opnieuw inheemse leiders uitnodigen om welkomstrituelen uit te voeren, jonge activisten zullen zich ongetwijfeld opnieuw laten fotograferen met inheemse oerwoudbewoners voor gelikte campagnes en camera’s zullen beslist nogmaals de smeekbeden van kleine eilandstaten filmen. Wat is er na dertig COPs nu echt veranderd? De uitstoot blijft stijgen, subsidies voor fossiele brandstoffen blijven bestaan en dezelfde bedrijven die profiteren van de vernietiging van de planeet, sponsoren de onderhandelingen die bedoeld zijn om hun verwoesting te stoppen. Het theater van “inclusie”, van gelijke rechten voor achtergestelde groepen, is eigenlijk bedoeld om de status quo, de bestaande situatie, te behouden die gebaseerd is op uitsluiting.

Dus terwijl leiders uit het mondiale noorden hun privéjets lieten volgooien met brandstof om naar Brazilië te vliegen ter voorbereiding van COP30 – klaar om te vergaderen over doelstellingen, beloften en “groene” oplossingen – herinnerde de storm in het Caribisch gebied ons aan wat de onderhandelaars in die gesprekken stelselmatig wegpoetsen. In de discussies over “decarbonisatie” en ‘greenwashing’ is er zelden aandacht voor de koloniale grondslagen ervan, en de term “klimaatkolonialisme” is zowat taboe. Maar als de onderhandelaars eens een keer verder zouden kijken dan hun vergaderingen en onderonsjes en een blik zouden werpen op het leven van de mensen in het zuiden van de wereld, dan zouden ze zien dat klimaatverslechtering daar al heel lang, veel te lang, de dagelijkse werkelijkheid is. Voor velen is de klimaatcrisis niet iets van de toekomst, maar iets van de dagelijkse werkelijkheid nu, een erfenis van het kolonialisme en neo-kolonialisme: stijgende zeespiegel, vergiftigde lucht en verdwijnende grond. Wat het noorden van de wereld “aanpassing” noemt, heeft het zuiden al generaties lang in stilte moeten doorstaan: zonder erkenning, zonder compensatie en zonder rust.
Orkaan Melissa had een waarschuwing moeten zijn voor iedereen die meedoet aan klimaatconferenties. Jamaica staat nu voor de praktisch onmogelijke taak om van alles opnieuw op te bouwen: miljoenen mensen zitten zonder stroom, hun huizen, boerderijen, winkels en werkplaatsen zijn in één nacht weggevaagd en hun leven is vernietigd, met al het verdriet, angst, stress en woede die dat oproept. Maar toen de afgevaardigden aan boord van hun vliegtuigen stapten om te onderhandelen over “ambitieuze” doelstellingen, liet Melissa zien dat klimaatrampen in het zuiden angstaanjagend normaal zijn. Dit soort levensgevaarlijke, heftige stormen zijn niet langer een uitzonderlijke gebeurtenis; ze zijn het logische gevolg van een wereld die nog steeds verslaafd is aan fossiele brandstoffen, overconsumptie en ontkenning. Klimaatconferenties zouden moeten beginnen met het onder ogen zien van de werkelijkheid: dat elke vertraging, elke afgezwakte toezegging, elke loze verklaring zal leiden tot meer overstroomde steden, meer onleefbare kusten, meer in rouw gedompelde gemeenschappen.
Amina Adebisi Odofin
Het oorspronkelijke artikel “The geography of a storm” verscheen begin november in Africa is a Country. Vertaling en bewerking Jan Paul Smit.
